Bestanden
1615 Dienst Ruimtelijke ordening/Economische Zaken: werktekeningen, 1860-1990

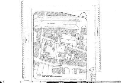
2654 Rooilijn volgens bestemmingsplan Raamstraat : - , 1974
Titel:
Rooilijn volgens bestemmingsplan Raamstraat
Datering:
1974
Schaal:
n.v.t
Techniek:
tekening op calque
Vorm:
Kaart
Weergave:
Plattegrond
Afmeting:
blad: 41x36 cm
Objectsoort:
Rooilijnen
Opmerkingen:
Vervangende Titel
Datering: Volgens stuk
Datering: Volgens stuk
Verwijzing:
Stadsontwikkeling en Volkshuisvesting, 1966 - 1987. Afdeling: STDB = Stedebouwkunde (Uitbreidingsplan survey)
Ga naar dit stuk:
Volgnummer:
1 van 1
laatste wijziging 20-02-2019
totaal 1 bestand
Mijn Studiezaal (inloggen)