Bestanden
1615 Dienst Ruimtelijke ordening/Economische Zaken: werktekeningen, 1860-1990

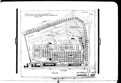
2220 Schetsontwerp van een nieuwe veemarkt c.a. op een terrein tusschen Winschoterdiep en Eemskanaal : - / Blink (Tekenaar), 1959
Titel:
Schetsontwerp van een nieuwe veemarkt c.a. op een terrein tusschen Winschoterdiep en Eemskanaal
Datering:
1959
Maker:
Blink (Tekenaar)
Schaal:
1:500
Techniek:
tekening op papier Kleur
Vorm:
Technische tekening
Weergave:
Plattegrond
Afmeting:
blad: 90x100 cm
Objectsoort:
Opslagterrein
Opmerkingen:
Datering: Volgens stuk
- houtskoolschets, ingekleurd met potlood
- houtskoolschets, ingekleurd met potlood
Verwijzing:
Openbare Werken, 1947 - 1987. Afdeling: NWWR = Nieuwe werken (zeer uiteenlopende projecten)
Oude nummers:
59-138
Ga naar dit stuk:
Volgnummer:
1 van 1
laatste wijziging 20-02-2019
totaal 1 bestand
Mijn Studiezaal (inloggen)