Bestanden
1615 Dienst Ruimtelijke ordening/Economische Zaken: werktekeningen, 1860-1990

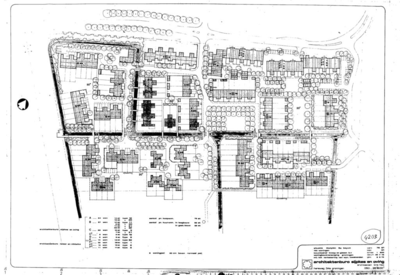
4203 Situatie deelplan 6a Beyum : - / Bureau Sijpkes en Oving (Tekenaar), 1976
Titel:
Situatie deelplan 6a Beyum
Datering:
1976
Maker:
Bureau Sijpkes en Oving (Tekenaar)
Schaal:
1:1500
Techniek:
tekening op calque
Vorm:
Technische tekening
Weergave:
Plattegrond
Afmeting:
blad: 64x90 cm
Objectsoort:
Situatietekening
Opmerkingen:
Datering: Volgens stuk
Aantekening: -A
Aantekening: -A
Verwijzing:
Stadsontwikkeling en Volkshuisvesting, 1966 - 1987
Oude nummers:
-A
Volgnummer:
1 van 1
laatste wijziging 20-02-2019
totaal 1 bestand
Mijn Studiezaal (inloggen)